Großzügiges Baugrundstück in begehrter Lage von Bopfingen zu erwerben
Informationen zur Immobilie:
Ort
73441 Bopfingen
Objektart
Grundstück
Größe
ca.
249.990 €
Beschreibung:
Mehr zum Angebot Großzügiges Baugrundstück in begehrter Lage von Bopfingen zu erwerben:
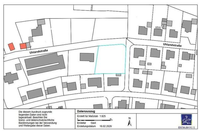
Objektbeschreibung: Vielseitiges Wohnglück - Ihr Baugrundstück mit Weitblick
An der Schnittstelle von Uhlandstraße und Georgweg eröffnet sich Ihnen auf 1.221 m² eine seltene Gelegenheit zur Realisierung Ihrer Wohnträume. Dieses großzügig geschnittene... mehr erfahren
Objektbeschreibung: Vielseitiges Wohnglück - Ihr Baugrundstück mit Weitblick
An der Schnittstelle von Uhlandstraße und Georgweg eröffnet sich Ihnen auf 1.221 m² eine seltene Gelegenheit zur Realisierung Ihrer Wohnträume. Dieses großzügig geschnittene... mehr erfahren
weitere Grundstücke